Views: 6
Posted: Thursday, October 30, 2025. 6:31 am CST.
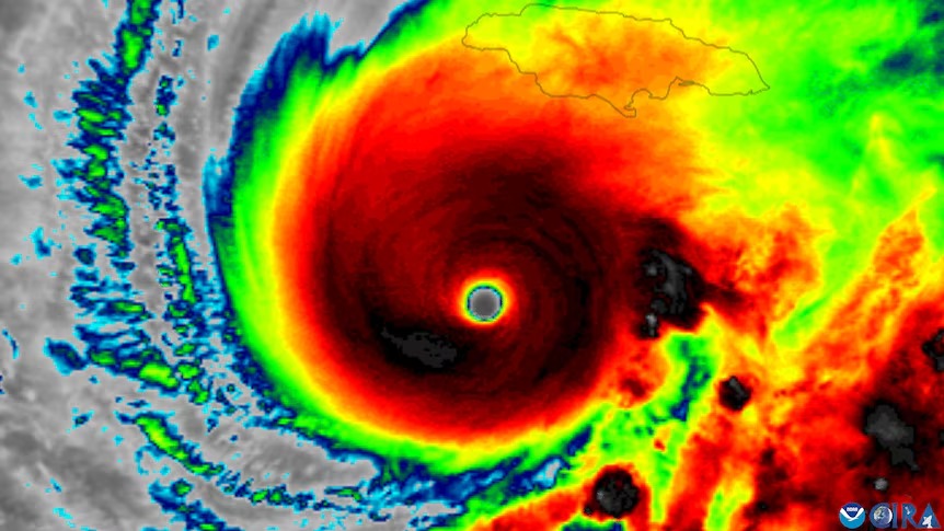
By Breaking Belize News Staff (HP): The National Hurricane Center (NHC) in Miami is issuing advisories on Hurricane Melissa, which is now located between the central Bahamas and Bermuda. The hurricane continues to move north-northeast at around 21 miles per hour, carrying maximum sustained winds of 105 mph.
At 5:00 a.m. EDT, forecasters warned that hurricane conditions are expected in Bermuda tonight, with tropical storm-force winds arriving later today. Residents in Bermuda have been urged to rush preparations to completion as the system nears the island.
According to the NHC’s latest discussion, flooding across the Bahamas is expected to subside today, while residual flooding in parts of Cuba, Jamaica, and Hispaniola could persist for several more days. Authorities in those countries are advising residents to follow safety guidelines and remain cautious around flooded areas.
In its 8:00 a.m. Tropical Weather Outlook, the NHC confirmed that no new tropical cyclone formation is expected in the North Atlantic, Caribbean Sea, or Gulf of Mexico over the next seven days. This means Hurricane Melissa poses no threat to Belize or the mainland Caribbean region.
Forecaster Hagen of the NHC reiterated that post-storm safety remains a priority across affected areas, urging residents to ensure generators are properly ventilated and to avoid heat exhaustion during cleanup operations.
Belize remains under mostly fair and mild weather conditions, with the National Meteorological Service reporting only isolated showers over southern districts tonight.
Advertise with the mоѕt vіѕіtеd nеwѕ ѕіtе іn Belize ~ We offer fully customizable and flexible digital marketing packages. Your content is delivered instantly to thousands of users in Belize and abroad! Contact us at mаrkеtіng@brеаkіngbеlіzеnеwѕ.соm or call us at 501-612-0315.
© 2025, BreakingBelizeNews.com. Content is copyrighted and requires written permission for reprinting in online or print media. Theft of content without permission/payment is punishable by law.

